Meld je aan voor de nieuwsbrief

Wanssumseweg ong Oostrum

Verkocht bij inschrijving

Specificaties

Prijs op aanvraag

  • Postcode: 5807 EA
  • Perceeloppervlakte: 2.67.50 ha
  • Hoofdtype(n): Losse Grond
  • Grondsoort: Zand

Terug naar volledige overzicht

Omschrijving

Wij bieden u een mooi perceel gelegen cultuurgrond aan, gelegen aan de Wanssumseweg te Oostrum. Het perceel is goed toegankelijk via de verharde weg vanuit de Wanssumseweg te Oostrum en geschikt voor de teelt van diverse soorten akkerbouw- en tuinbouwgewassen.
De omgeving kenmerkt zich door een agrarisch buitengebied nabij de rand van het dorp Oostrum.

Kadastrale situatie:
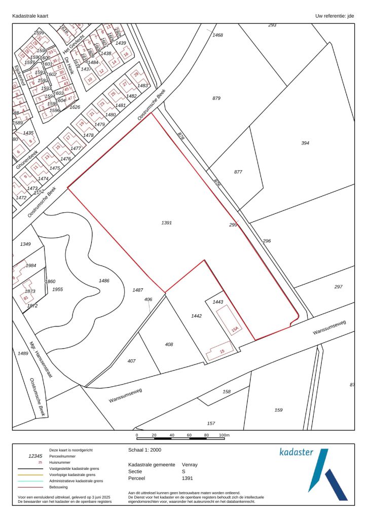
Gemeente Venray, sectie S, nummer 1391, totaal groot: 02.67.50 ha.

Bodem en gebruik:
De grondsoort betreft zandgrond.

Teeltplan laatste 3 jaar:
2025: Maïs
2024: Maïs
2023: Maïs

Bijzonderheden:
– Het perceel wordt vrij van pacht opgeleverd.
– Er rust geen jachtrecht op het perceel.
– Zeer goed bereikbaar vanuit de openbare weg.

Bestemmingsplan:
Het perceel ligt in het bestemmingsplan Buitengebied Venray 2010 van de gemeente Venray vastgesteld
14-12-2010 – geheel onherroepelijk in werking.

Bestemmingsvlakken:
– Waarde – Archeologie – 1
– Waarde – Ontwikkelingszone groen
– Waarde – Beekdal
– Waterstaat – Beschermingszone watergang
– Leiding – Riool
– Agrarisch met waarden

Gebiedsaanduidingen:
– reconstructiewetzone – extensiveringsgebied
– reconstructiewetzone – verwevingsgebied

Verkoopprocedure:
Het perceel wordt verkocht ‘per inschrijving’. Het inschrijfformulier met bijbehorende voorwaarden kunnen worden opgevraagd bij de makelaar.

Het volledige ingevulde en ondertekende inschrijfformulier dient uiterlijk woensdag 12 november 2025 vóór 13.00 uur ingeleverd te worden bij Arvalis Kantoor Venlo, Villafloraweg 1 Venlo, of per e-mail gericht aan info@arvalis.nl. Binnen 5 werkdagen zal de bieder(s) geïnformeerd worden of het perceel hem gegund is. Gunning geschiedt onder voorbehoud van goedkeuring door verkoper.

Aanvaarding:
In overleg

Voor meer informatie kunt u contact opnemen met:
John Derix
06 20958074
jderix@arvalis.nl

Gratis zoekservice

Laat ons weten wat je zoekt.
Wij sturen je vervolgens gratis het meest actuele aanbod door.

Zo ben je altijd als eerste op de hoogte!

Je gebruikt een verouderde webbrowser

Deze website maakt gebruik van moderne technieken die niet worden ondersteund door jouw webbrowser. Update mijn webbrowser

×

Sluiten
Sluiten