Meld je aan voor de nieuwsbrief

Leeuwerik ong Limbricht

Verkocht

Specificaties

Vraagprijs: € 25.000 k.k.

  • Postcode: 6141 LM
  • Perceeloppervlakte: 0.17.70 ha
  • Hoofdtype(n): Losse Grond
  • Grondsoort: Leem

Terug naar volledige overzicht

Omschrijving

Gelegen aan de rand van Limbricht bieden wij u een goed bereikbaar perceel aan. Het perceel is goed ontsloten middels de Leeuwerik, welke vervolgens via de Provinciale weg goed aansluit naar de kern van Limbricht en Sittard.

De afgelopen jaren is het perceel in gebruik geweest als landbouwgrond. De grondsoort betreft lössgrond, het perceel is nagenoeg vlak gelegen en er zijn vrijwel geen stenen in de bodem. Hierdoor is het perceel ook geschikt als weiland en leent zich uitstekend voor het hobbymatig houden van rundvee, paarden, schapen of andere (klein)vee. Daarnaast is het perceel interessant voor natuurliefhebbers of als rustgevend stukje grond om te tuinieren of te genieten van de omgeving. De omgeving bestaat voornamelijk uit woonhuizen, weilanden, akkers en biedt volop mogelijkheden voor agrarisch gebruik of als duurzame belegging.

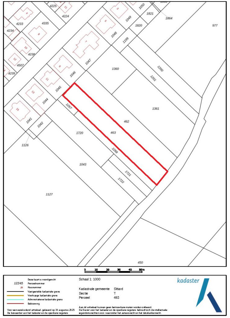
Kadastrale gegevens
Sittard, sectie T, nummer 463, groot 00.17.70 ha

Bodem en gebruik
De grondsoort betreft lössgrond. De afgelopen jaren is het perceel gebruikt als landbouwgrond voor diverse teelten, namelijk:
2025: Groene braak
2024: Groene braak
2023: Luzerne

Bestemmingsplan
Het perceel is gedeeltelijk gelegen in het bestemmingsplan ‘Bestemmingsplan Limbricht’, vastgesteld per 11-10-2012 en geheel onherroepelijk in werking.

Op het perceel rust de bestemmingsvlakken:
– Agrarisch
– Waarde – Archeologie – 3

Het perceel is gedeeltelijk gelegen in het bestemmingsplan ‘Bestemmingsplan Sittard’, vastgesteld per 26-06-2013 en geheel onherroepelijk in werking.

Op het perceel rust de bestemmingsvlakken:
– Agrarisch
– Waarde – Archeologie – 4

en de gebiedsaanduiding:
– other: recreatief netwerk

Aanvaarding
In overleg

Vraagprijs
€ 25.000,- k.k.

Voor meer informatie kunt u contact opnemen met:
Timon Dols (makelaar)
t: 06-51225838
e: tdols@arvalis.nl

Arvalis kantoor Maastricht Airport
Europalaan 24
6199 AB Maastricht Airport
t: 043 4505100

Gratis zoekservice

Laat ons weten wat je zoekt.
Wij sturen je vervolgens gratis het meest actuele aanbod door.

Zo ben je altijd als eerste op de hoogte!

Je gebruikt een verouderde webbrowser

Deze website maakt gebruik van moderne technieken die niet worden ondersteund door jouw webbrowser. Update mijn webbrowser

×

Sluiten
Sluiten