Meld je aan voor de nieuwsbrief

Kolenhofweg ong Leveroy

Specificaties

Vraagprijs: € 10,95 per m2 k.k.

  • Postcode: 6091 NB
  • Perceeloppervlakte: 3.00.00 ha
  • Hoofdtype(n): Losse Grond
  • Grondsoort: Zand

Terug naar volledige overzicht

Omschrijving

Wij bieden u een mooi gelegen perceel cultuurgrond aan, gelegen nabij de Kolenhofweg te Leveroy. Het perceel is toegankelijk middels de Kolenhofweg vanuit de Kelperweg, het is geschikt voor de teelt van diverse soorten akkerbouw- en tuinbouwgewassen of boomteelt.

De omgeving wordt gekenmerkt door een agrarisch buitengebied met uitgestrekte landbouwgronden. Dit biedt een mooie kans voor zowel agrariërs als beleggers om dit perceel in eigendom te verwerven. Heeft u interesse als belegger? Dan kunnen wij het perceel voor u verpachten aan een agrariër en de volledige verpachting namens u verzorgen.

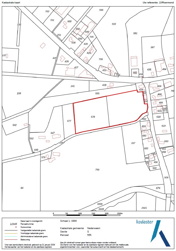
Kadastrale situatie
Nederweert, sectie S, nummer 578
Nederweert, sectie S, nummer 555 (gedeeltelijk)
tezamen groot ca. 03.00.00 ha

Bodem en gebruik
De grondsoort betreft zandgrond. Het perceel is de laatste jaren in gebruik geweest voor de teelt van o.a. tijdelijk grasland en maïs.

Bijzonderheden
– Beregening is mogelijk middels een hydrant vanuit een buurperceel van de eigenaar, in overleg kan deze gebruikt worden.
– Het kadastrale perceel Nederweert, sectie S, nummer 555 dient nog kadastraal afgesplitst te worden door het Kadaster alvorens de overdracht plaatsvindt. Eigenaar wil namelijk het bosperceel in eigendom houden.
– Feitelijke levering uiterlijk 31-12-2026

Het perceel is gelegen in het bestemmingsplan ‘Buitengebied NederWeert’ vastgesteld door de Gemeente Nederweert te 24-11-2009 en is deels onherroepelijk in werking.

Bestemmingsplan
Het perceel heeft de bestemmingsvlakken:
– Agrarisch
– Agrarisch met waarden – Ontwikkelingszone groen
– Waarde – Archeologie

En gebiedsaanduidingen:
– milieuzone – boringsvrije zone
– wro-zone – bebouwingsconcentratie

Aanvaarding
In overleg.

Vraagprijs
€ 10,95 per m² k.k.

Voor meer informatie kunt u contact opnemen met
Nard Driessen (makelaar)
t: 06 4859 2874
e: ndriessen@arvalis.nl

Jolien Janssen (junior makelaar)
t: 06 5572 0230
e: jwjanssen@arvalis.nl

Arvalis kantoor Roermond
Steegstraat 5
6041 EA ROERMOND
t: 0475 355 700

Gratis zoekservice

Laat ons weten wat je zoekt.
Wij sturen je vervolgens gratis het meest actuele aanbod door.

Zo ben je altijd als eerste op de hoogte!

Je gebruikt een verouderde webbrowser

Deze website maakt gebruik van moderne technieken die niet worden ondersteund door jouw webbrowser. Update mijn webbrowser

×

Sluiten
Sluiten