Meld je aan voor de nieuwsbrief

Helmeer nabij Krekelkamp ong Wanssum

Verkocht bij inschrijving

Specificaties

Prijs op aanvraag

  • Postcode: 5861 AD
  • Perceeloppervlakte: 2.30.20 ha
  • Hoofdtype(n): Losse Grond
  • Grondsoort: Zand

Terug naar volledige overzicht

Omschrijving

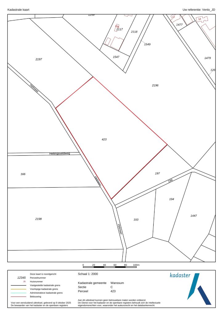
Wij bieden u een mooi perceel aan, bestaande uit grotendeels cultuurgrond en een klein gedeelte bosgrond, gelegen aan de zandweg Helmeer te Wanssum. Het perceel is goed toegankelijk via een onverharde weg welke via de verharde weg Krekelkamp bereikbaar is. Het perceel is geschikt voor de teelt van diverse soorten akkerbouw- en tuinbouwgewassen.

De omgeving kenmerkt zich door een agrarisch buitengebied.

Kadastrale situatie:
Wanssum, C 423, groot 02.30.20 ha

Hiervan is ca. 01.80.00 ha cultuurgrond. Het overige deel bestaat uit bosgrond.

Bodem en gebruik:
De grondsoort betreft zandgrond.

Teeltplan laatste 5 jaar:
2025: Bieten
2024: Grasland
2023: Grasland
2022: Aardappelen
2021: Maïs

Bijzonderheden:
– Het perceel wordt vrij van pacht opgeleverd
– Er is geen sprake van een jachtrecht
– Er is geen beregeningsput aanwezig

Bestemmingsplan:
Het perceel ligt in het bestemmingsplan Buitengebied – Oost gemeente Venray, vastgesteld 18-06-2013 – geheel onherroepelijk in werking.

Bestemmingsvlakken
– Waarde – Archeologie 2
– Waarde – Esgronden
– Natuur
– Agrarisch met waarden

Gebiedsaanduidingen
– reconstructiewetzone – verwervingsgebied
– reconstructiewetzone – extensiveringsgebied

Verkoopprocedure:
Het perceel wordt verkocht ‘per inschrijving’. Het inschrijfformulier met bijbehorende voorwaarden kunnen worden opgevraagd bij de makelaar.

Het volledige ingevulde en ondertekende inschrijfformulier dient uiterlijk woensdag 3 december 2025 vóór 13.00 uur ingeleverd te worden bij Arvalis Kantoor Venlo, Villafloraweg 1 Venlo, of per e-mail gericht aan info@arvalis.nl. Binnen 5 werkdagen zal de bieder(s) geïnformeerd worden of het perceel hem gegund is. Gunning geschiedt onder voorbehoud van goedkeuring door verkoper.

Aanvaarding:
In overleg.

Voor meer informatie kunt u contact opnemen met:
John Derix
06 20958074
jderix@arvalis.nl

Gratis zoekservice

Laat ons weten wat je zoekt.
Wij sturen je vervolgens gratis het meest actuele aanbod door.

Zo ben je altijd als eerste op de hoogte!

Je gebruikt een verouderde webbrowser

Deze website maakt gebruik van moderne technieken die niet worden ondersteund door jouw webbrowser. Update mijn webbrowser

×

Sluiten
Sluiten