Meld je aan voor de nieuwsbrief

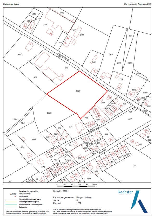
Augustinusweg ong Siebengewald

Onder bod

Specificaties

Prijs op aanvraag

  • Postcode: 5853 EB
  • Perceeloppervlakte: 1.01.46 ha
  • Hoofdtype(n): Losse Grond
  • Grondsoort: Klei

Terug naar volledige overzicht

Omschrijving

TE KOOP PER INSCHRIJVING!
Aan de rustige rand van Siebengewald, nabij de Augustinusweg, ligt dit mooie gesitueerde perceel cultuurgrond. De locatie is goed bereikbaar en biedt vrij uitzicht over het omliggende landschap.

Het perceel heeft een lichte verhoging in het midden, waardoor het perceel in twee gedeelten wordt gebruikt. De afgelopen jaren is het perceel ingezaaid geweest met een agrarisch natuurmengsel.

De bodem bestaat uit lichte zavel, geschikt voor de teelt van diverse akkerbouwgewassen.

Kadastrale situatie
Gemeente Bergen Limburg, sectie R, nummer 1229, groot 01.01.46 ha.

Bodem en gebruik
De grondsoort betreft lichte zavel. Het perceel is ingezaaid met agrarisch natuurmengsel.

Bijzonderheden
Er rust een jachtrecht op het perceel welke momenteel verhuurd is.

Bestemmingsplan
Het perceel is gelegen binnen het bestemmingsplan ‘Buitengebied 2018, 1e herziening’, geheel in werking vastgesteld door de Gemeente Bergen (L) per 13-12-2022.

Op het perceel rusten de bestemmingsvlakken:
– ‘Agrarisch met waarden’
– ‘Waarde – Archeologie 5’
– ‘Waterstaat – Beschermingszone waterkering’

Verkoopprocedure
Het perceel wordt verkocht ‘per inschrijving’. Het inschrijfformulier met bijbehorende voorwaarden kunnen worden opgevraagd bij de makelaar.

Het volledige ingevulde en ondertekende inschrijfformulier dient uiterlijk 17-12-2025 vóór 13.00 uur ingeleverd te worden bij Arvalis Kantoor Venlo, Villafloraweg 1 Venlo, of per e-mail gericht aan info@arvalis.nl. Binnen 5 werkdagen zal de bieder(s) geïnformeerd worden of het perceel hem gegund is. Gunning geschiedt onder voorbehoud van goedkeuring door verkoper.

Aanvaarding
In overleg

Voor meer informatie kunt u contact opnemen met:
John Derix (makelaar)
t: 06 2095 8074
e: jderix@arvalis.nl

Jolien Janssen (junior makelaar)
t: 06 5572 0230
e: jwjanssen@arvalis.nl

Arvalis kantoor Venlo
Villafloraweg 1
5928 SZ Venlo
t: 0478 578 257

Gratis zoekservice

Laat ons weten wat je zoekt.
Wij sturen je vervolgens gratis het meest actuele aanbod door.

Zo ben je altijd als eerste op de hoogte!

Je gebruikt een verouderde webbrowser

Deze website maakt gebruik van moderne technieken die niet worden ondersteund door jouw webbrowser. Update mijn webbrowser

×

Sluiten
Sluiten